Notice_site

Villeneuve - Place de la Gare


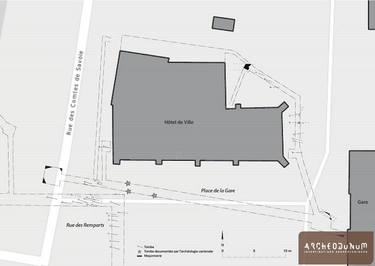
Menée dans le cadre du projet d’assainissement du réseau des eaux usées piloté par la municipalité de Villeneuve, l’opération de surveillance archéologique autour de l’ancienne chapelle de l’hôpital a permis de mettre au jour 18 sépultures, auxquelles s’ajoutent les 3 observées par l’Archéologie cantonale (DGIP), et 5 tronçons de maçonneries. Dans le même secteur, immédiatement au sud-ouest, le suivi d’un autre projet a livré 23 tombes (Rue des Remparts). Les vestiges ont pour la plupart été impactés par l’implantation de très nombreuses conduites et chambres de visite installées dès l’époque moderne. L’exiguïté des tranchées ouvertes a également conditionné la qualité des informations récoltées. Ce constat est particulièrement vrai pour les maçonneries, dont l’orientation et la fonction n’ont pas toujours pu être définies. De même, leur insertion stratigraphique ne permet pas de proposer une datation, ni de les situer chronologiquement par rapport à l’espace funéraire.

Les sépultures sont orientées selon un axe ouest-est, avec la tête des défunts placée à l’ouest, et ont été implantées en rangées perpendiculaires à la chapelle. Une seule tombe semble déroger à la règle, avec une orientation sud-ouest/nord-est.

La fouille n’a apporté aucun élément appartenant à l’architecture interne des sépultures. Néanmoins, les observations archéothanatologiques ont généralement permis de définir un espace de décomposition vide, suggérant un mode d’inhumation dans un contenant en bois non cloué.

Les tombes de l’intervention Place de la Gare n’ont livré aucun mobilier datant. Par contre, lors de l’opération Rue des Remparts, une tombe a livré plusieurs objets en bronze, pouvant a priori être attribués au 15e siècle. Quelques indications appartenant au domaine des pratiques funéraires, telles que l’organisation des tombes selon un système de rangées, avec une rationalisation de l’espace et une polarisation autour d’un édifice religieux, la standardisation des positions d’inhumation, l’emploi répandu de contenants en bois, l’absence d’objet d’accompagnement et d’élément d’assemblage métallique, permettent aussi de situer l’utilisation de ce cimetière au plus tôt dès les 12-13e siècles. D’ailleurs, une première consultation des archives montre que l’espace funéraire a probablement été mis en fonction simultanément ou peu après l’édification de l’hôpital et de sa chapelle vers 1236. Par la suite, il est cité à de nombreuses reprises jusqu’au 14e siècle dans les litiges opposant l’hôpital à la paroisse sur le droit d’inhumer et le partage des biens des pèlerins et étrangers morts sur le territoire de la ville. La conquête bernoise en 1476, puis la Réforme en 1536, ont sans doute mis un terme à la coexistence de ces deux lieux d’inhumations. Dans tous les cas, il n’apparaît pas sur le plan cadastral de 1695, suggérant une désaffection antérieure au 17e siècle. 

Ce lieu d’inhumation, dont les limites méridionale et occidentale se signalent par une absence de tombe, semble par conséquent avoir été utilisé sur une période assez courte, d’environ deux siècles. La mise en évidence d’un maximum de trois phases d’ensevelissement aux mêmes emplacements tend à étayer cette hypothèse. Des analyses radiocarbone permettraient sans doute de mieux définir la durée d’utilisation de ce cimetière.



Quelques images du site :




Commune : Villeneuve

Adresse/lieu-dit : Place de la Gare

Département/Canton : Vaud

Année de fouille : 2020

Période principale d'occupation : Moyen Âge

Responsable d'opération : Sophie THORIMBERT

Aménageur : Commune de Villeneuve

Raison de l'intervention : Projet d'assainissement du réseau des eaux usées

Type de chantier : Sédimentaire (Suivi de travaux)